Tudo sobre Estados Unidos
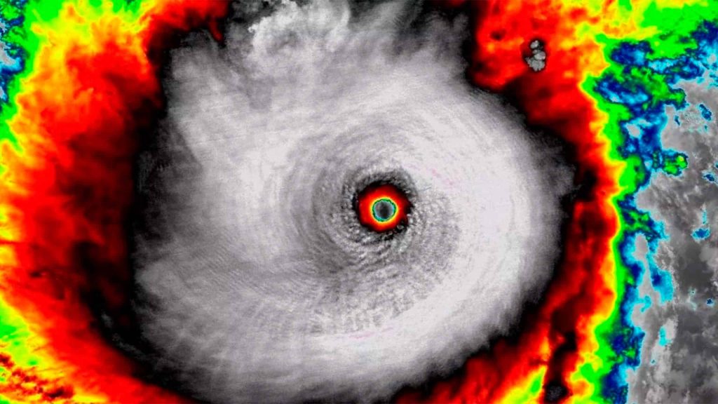
O furacão Milton está ganhando força rapidamente nos Estados Unidos e deve atingir a costa da Flórida na madrugada desta quinta-feira (10). O fenômeno atingiu a categoria 5 em poucas horas, fazendo a atual temporada de furacões com potencial para ser a pior da história. Mas o que está causando isso?
Apenas esse ano, essa já é a terceira tempestade de intensidade 5 a atingir o Atlântico Norte, depois do Helene e do Berry, mas o que vem impressionando os meteorologistas no mundo todo é a velocidade do Milton.
O furacão passou por uma “intensificação rápida” que ocorre quando uma tempestade do tipo tem sua velocidade aumentada em pelo menos 56 km/h em um período de 24 horas. Mesmo que ele tenha caído para a categoria 4 poucas horas depois, isso não significa que o perigo do Milton deixou de ser extremamente perigoso.

O que fez o furacão Milton ficar tão perigoso?
De acordo com o The Guardian, um fator determinante para a intensificação de um furacão é a relação entre o calor do oceano e da atmosfera. Ar e água mais quentes fornecem mais energia para uma tempestade, dessa forma ela gira mais rápido e carrega mais umidade, levando chuvas torrenciais.
Nos últimos meses, o Golfo do México vem atingindo temperaturas recordes. O Milton tem um núcleo muito mais quente que o normal para essa época do ano, então o excesso de calor está deixando ele mais potente.
Leia mais:
Entre os motivos apontados como causadores desse aumento de temperatura está o aquecimento global. Estudo recentes indicam que as tempestades tropicais no Atlântico podem se tornar mais intensas no futuro quando comparadas a períodos anteriores.
“Estamos testemunhando um período genuinamente extraordinário e regionalmente bastante mortal e destrutivo para clima extremo nos Estados Unidos”, disse Daniel Swain, um cientista climático da UCLA, ao The Guardian.

O que o furacão deve causar?
A tempestade pode causar inundações. A previsão é de até 38 centímetros de chuva em algumas localidades (normalmente a quantidade de chuva prevista é medida na casa de milímetros);
Os meteorologistas também esperam ressaca de 2,4 a 3,6 metros na Baía de Tampa, quase o dobro dos níveis alcançados durante o furacão Helene.


